Service Guide

Get Ants Extermination Service

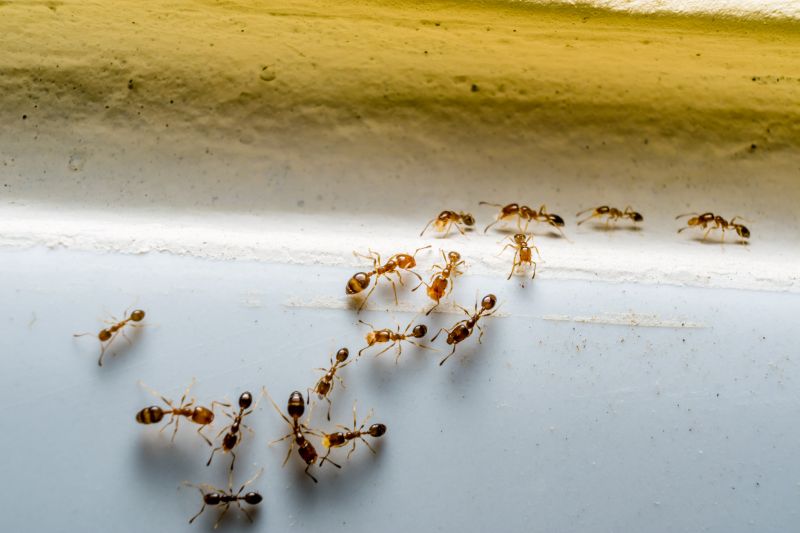
Local contractors offer ant extermination services to eliminate infestations and protect homes from damage caused by ants.

Ants can quickly become a persistent nuisance for property owners, making effective extermination services an important consideration. Whether dealing with an ongoing invasion or aiming to prevent future problems, choosing the right local contractors can help address these concerns efficiently. Exploring your options allows for informed decisions based on the specific needs of your property and the types of ants present.

Property owners often seek ants extermination services to protect their investments and maintain a clean, comfortable environment. Comparing local service providers ensures you find experienced professionals equipped to handle the unique challenges of ant control in your area. Keep reading to learn more about how local experts can assist with your pest management needs.

Get Ants Extermination Service Quotes

  • Ants Extermination - when ants have invaded a home or business and need to be eliminated.
  • Ants Prevention - to establish barriers that prevent future ant infestations.
  • Ants Inspection - when suspecting an ant problem but needing confirmation and assessment.
  • Ants Removal - after an ant colony has been identified and needs to be eradicated from the property.
  • Ants Control - to manage ongoing ant activity and reduce the risk of recurring issues.
Ants Extermination Service
Ants Extermination Service
Ants Extermination Service

Ants extermination services involve identifying and eliminating ant infestations within residential or commercial properties. Trained service providers typically conduct thorough inspections to locate the source of the ant activity, whether inside walls, under floors, or in outdoor areas close to the property. Using targeted treatment methods, they apply safe and effective solutions designed to eradicate the entire colony, preventing future invasions. These services aim to create a pest-free environment, ensuring that ant problems do not persist or worsen over time.

Ant problems can cause significant inconvenience and damage, especially when they invade kitchens, pantries, or storage areas where food is kept. Common signs of an ant infestation include visible trails, scattered crumbs, or the presence of large colonies near the foundation or landscaping. Ants can also contaminate food supplies and create unsanitary conditions, making prompt treatment essential. Service providers help resolve these issues by not only removing existing colonies but also implementing preventative measures to reduce the likelihood of future invasions.

Various types of properties may require ants extermination services, including single-family homes, apartments, condos, and even small commercial spaces. Homes with gardens or outdoor landscaping are particularly vulnerable to ant invasions, especially during warmer months when colonies expand. Commercial properties such as restaurants or food storage facilities also benefit from professional pest control to maintain hygiene standards and comply with health regulations. Regardless of property type, local contractors can tailor their approach to fit the specific needs of each space, ensuring effective and discreet treatment.

Homeowners often turn to ants extermination services when noticing signs of infestation or experiencing ongoing ant activity. If ants are seen trailing across counters, entering through cracks, or establishing nests near the foundation, professional treatment can help control the problem. These services are also useful as a preventative step if the property is located in an area prone to ant activity or has experienced previous invasions. Connecting with experienced local service providers can provide peace of mind, knowing that effective solutions are available to keep homes and properties free of ants.

The overview below groups typical Ants Extermination Service projects into broad ranges so you can see how smaller, mid-sized, and larger jobs often compare in your area.

In many markets, a large share of routine jobs stays in the lower and middle ranges, while only a smaller percentage of projects moves into the highest bands when the work is more complex or site conditions are harder than average.

Smaller Repairs - Typical costs for routine ant extermination jobs like treating a single kitchen or small area usually range from $250 to $600. Many projects fall within this middle range, covering common infestations with straightforward solutions.

Moderate Infestations - Larger or more persistent ant problems, such as multiple affected areas or moderate nesting sites, often cost between $600 and $1,200. These jobs may involve more extensive treatments and multiple visits by local contractors.

Large-Scale Treatments - Extensive infestations or properties with multiple nests might require comprehensive services in the $1,200 to $2,500 range. Fewer projects reach this tier, but they typically involve significant treatment areas or complex access issues.

Full Property Extermination - Complete eradication of an entire property can cost $2,500 or more, especially for large or heavily infested sites. Such projects are less common but are handled by local pros with experience in extensive pest control solutions.

Actual totals will depend on details like access to the work area, the scope of the project, and the materials selected, so use these as general starting points rather than exact figures.

Get a Quote

Pest Control for Cockroaches - technicians use similar inspection, treatment, and prevention strategies to eliminate pests from indoor spaces.

Termite Inspection and Treatment - involves identifying and eradicating hidden pests, requiring careful planning and specialized tools akin to ant extermination.

Spider Removal Services - require knowledge of pest habitats and the use of targeted treatments, paralleling ant control methods.

Rodent Control Solutions - focus on trapping and exclusion techniques that align with the planning and tools used in ant extermination projects.

Bed Bug Treatment Services - involve detailed inspection and chemical application processes similar to those used in ant pest management.

Wildlife Removal Services - include assessing entry points and implementing exclusion strategies, comparable to planning ant prevention measures.

Ants Extermination Service

When comparing service providers for ant extermination, it’s helpful to consider their experience handling similar projects. Homeowners should look for local contractors who have a proven track record in managing ant control for properties like theirs. An experienced professional will be familiar with common ant species in the area and know effective strategies to address the specific challenges that may arise. This familiarity can contribute to a more efficient and effective treatment process, reducing the likelihood of recurring issues.

Clear written expectations are essential when evaluating potential service providers. Homeowners should seek out contractors who provide detailed descriptions of their services, including what the treatment entails, any preparations needed beforehand, and follow-up procedures. Having this information in writing helps ensure that both parties are aligned on the scope of work and can prevent misunderstandings. Well-defined expectations also make it easier to compare different local options and select a provider that offers transparency and professionalism.

Reputable references and strong communication are key factors to consider when choosing a pest control service. Homeowners are encouraged to ask for references or reviews from previous clients to gauge the quality of work and reliability of the contractor. Additionally, service providers who communicate clearly and promptly demonstrate professionalism and respect for the homeowner’s needs. Good communication ensures that questions are answered, concerns are addressed, and the overall process runs smoothly. This approach helps homeowners feel confident in their choice of local pros to handle their ant extermination needs.

Get an Ants Extermination Service Quote

Property owners use Ants Extermination Service services for practical projects around their homes and businesses. This guide focuses on everyday jobs and straightforward project options.

Ants Extermination Service
Ants Extermination Service

Ants can quickly become a nuisance for property owners dealing with common household or outdoor issues. Whether ants are invading kitchens, contaminating food supplies, or nesting in garden beds, many people seek professional assistance to eliminate these pests effectively. Local contractors specializing in ant extermination offer targeted solutions to address these everyday situations, helping homeowners and business owners restore comfort and cleanliness to their spaces.

In addition to immediate infestations, property owners might look for ant extermination services to prevent future problems. Ant colonies can establish themselves unnoticed, leading to ongoing concerns and potential damage to structures or landscaping. Local service providers can assess the situation, identify the source of the problem, and implement strategies to keep ants from returning, making them a practical choice for long-term pest management.

Get an Ants Extermination Service Quote

How can local contractors help with ant extermination? Local service providers have experience in identifying ant species and applying targeted treatments to eliminate colonies effectively.

What methods do ant extermination services typically use? Many local contractors use baiting, barrier treatments, and environmentally safe insecticides to control ant infestations.

Are ant extermination services safe for homes with pets and children? Most local pros employ treatment options that are safe when used according to instructions, but it's best to discuss specific concerns when contacting providers.

Can ant extermination services prevent future infestations? Yes, many service providers offer advice and treatments to help reduce the likelihood of ants returning.

What should I expect during an ant extermination service? Service providers typically inspect the affected areas, apply treatments, and may provide recommendations for ongoing prevention.

Ants Prevention Tips - Property owners can learn practical strategies to reduce ant attractants around their homes, such as sealing entry points and managing food sources.

Inspection & Identification - Local contractors can help identify ant infestation signs early, allowing for prompt and effective treatment.

Customized Extermination Plans - Homeowners can work with service providers to develop tailored approaches that suit their specific property needs.

Ongoing Maintenance Advice - Property owners can receive guidance on maintaining a pest-free environment through regular inspections and preventive measures.

Ants Extermination Service

If you are thinking about Ants Extermination Service for a property, this guide is meant to help you understand the work, the typical project types, and how different options might fit your plans.

When you are ready, you can use the quote form on this page to share a few details about your project. From there, local pros can review the basics and respond with options that match what you have in mind.

Get a Quote

Ants Extermination Quotes